Ellis Coco: ongeluk
7 maart:
Na een paar intensieve dagen even een update.
Afgelopen zondag (7 maart) is Coco tijdens het uitlaten aangereden door een auto
(ze zat aan de lijn).
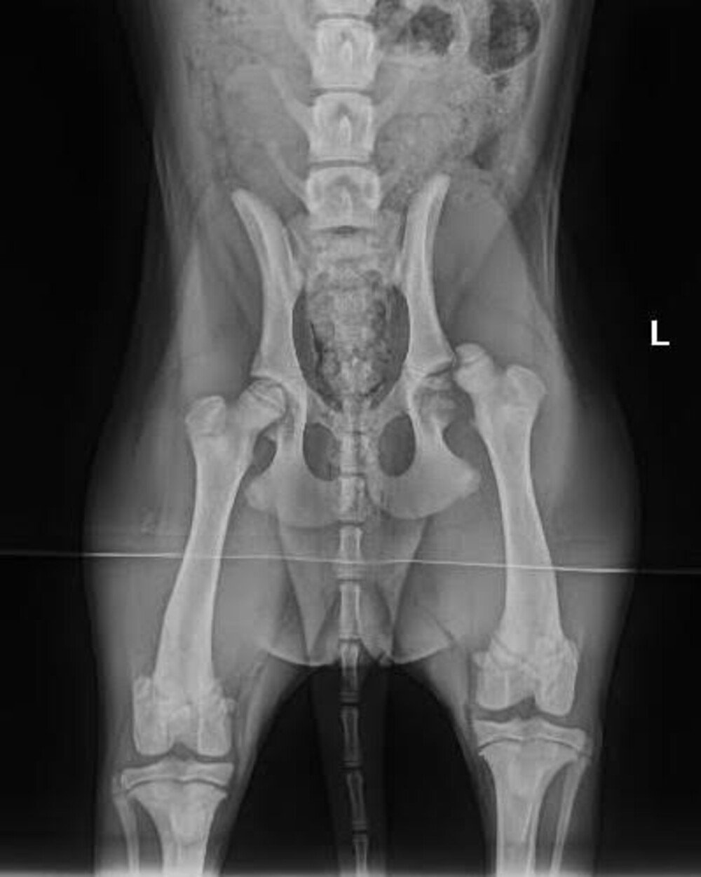
Gevolg; heup uit de kom en een stukje afgebroken vd kop van de femur.
Op aandringen van ons (eerst dachten ze dat het alleen gekneusd was) en de dierenarts zijn er foto’s gemaakt en is ze gisteren onder het mes gegaan en is er een nieuwe kop geplaatst.
Gisteravond was ze weer thuis en vanochtend kon ze weer zelf naar de deur toen ze uit wilde.
De komende drie weken moet ze het rustig aan doen en dan gaan we het weer op opbouwen.
Gericht op de socialisatie met andere honden gaat de hondentrainster met andere rustige honden bij ons thuis komen.
Vooruitzicht volgens de dierenarts: ze zou zonder verdere problemen oud moeten worden
(er is geen vervolg operatie nodig)
hij verwacht dat ze straks zonder problemen de paadjes mee op kan.
Nu vooral rustig aan blijven doen met haar en goed herstellen.
11 maart:
Met Ellis Coco gaat het erg goed, ze blaft alweer naar de buren en hinkt rond op 3 poten alsof ze het altijd gedaan heeft. Ze heeft al haar oude streken alweer terug. De grootste uitdaging zal zijn om haar verplicht rustig aan te laten doen zodat haar andere pootje rustig kan genezen maar we hebben er alle vertrouwen in dat dat goed zal komen.
16 maart: plant gaat goed en hond ook. De dierenarts was verbaasd dat ze er al zo goed op haar poot kon staan dus dat is veel belovend. Verder blijft het de uitdaging om gedwongen rust te geven. Alle vertrouwen dat het goed gaat komen met haar. Over twee weken is ze weer aan de beurt bij de dierenarts voor een controle. mevrouw heeft weinig spektakel in haar leventje en mag het vooral rustig aan doen, getuigen de foto's.



